For more information regarding the value of a property, please contact us for a free consultation.
Key Details
Sold Price $2,000,000
Property Type Single Family Home
Sub Type Single Family Residence
Listing Status Sold
Purchase Type For Sale
Square Footage 1,799 sqft
Price per Sqft $1,111
MLS Listing ID 6719309
Sold Date 07/28/25
Bedrooms 2
Full Baths 2
Half Baths 1
Year Built 1987
Annual Tax Amount $7,567
Tax Year 2024
Contingent None
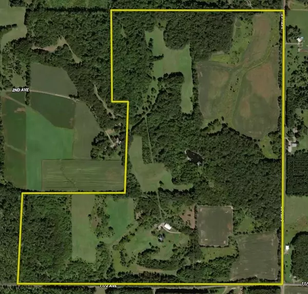
Lot Size 254.200 Acres
Acres 254.2
Lot Dimensions 0X0
Property Sub-Type Single Family Residence
Property Description
Welcome to a truly exceptional property that offers the ultimate blend of privacy, comfort, and outdoor adventure. This custom-built log home is nestled atop a pristine expanse of land, providing panoramic views over rolling hills, mature forests, and a large, tranquil pond. Designed for both relaxation and recreation, this home and land package is a dream for those who value nature, craftsmanship, and space.
Step inside the stunning log home and immediately feel the warmth and craftsmanship throughout. Designed for convenient main-floor living, the home features an open-concept layout with rustic wood finishes, a spacious kitchen, and cozy gathering spaces. The full walk-out basement offers flexibility for additional living space, entertainment areas, or storage. Just outside, enjoy the peaceful surroundings from your private pool and deck—a perfect place to unwind or host family and friends.
The property is outfitted with practical amenities to suit a variety of lifestyles. A heated detached garage ensures comfort year-round, while the large shed with an integrated shop is ideal for mechanics, craftsmen, or storage for recreational gear. Whether you're maintaining equipment or working on your next project, you'll have all the space you need.
Beyond the home, the land itself is a thoughtfully managed outdoor sanctuary. Strategically planted apple trees attract wildlife and add to the property's serene beauty. Multiple hunting areas are ready for use, including ladder stands and enclosed blinds—perfect for deer, bear, turkey, and more. The forest includes a mix of softwoods and hardwoods with a rich understory that provides excellent cover and food sources for wildlife.
Spend afternoons in the picnic area overlooking the large pond—an ideal setting for quiet reflection, family gatherings, or spotting waterfowl and other wildlife. The pond and surrounding landscape offer opportunities for fishing, canoeing, bird watching, or simply soaking in the peaceful surroundings.
Wildlife is abundant here, with deer, bear, turkeys, grouse, pheasant, and waterfowl regularly frequenting the land. Whether you're a seasoned hunter, an outdoor enthusiast, or someone looking for a quiet escape into nature, this property offers unmatched access to the great outdoors.
This is more than just a home—it's a legacy property. Ideal for full-time living, a vacation getaway, or an income-generating recreational retreat, this stunning estate invites you to live life closer to nature, in total comfort and style.
Location
State WI
County Barron
Zoning Agriculture,Forestry,Residential-Single Family
Rooms
Basement Block
Interior
Heating Forced Air
Cooling Central Air
Fireplaces Number 2
Fireplace Yes
Appliance Cooktop, Dishwasher, Dryer, Freezer, Fuel Tank - Owned, Gas Water Heater, Microwave, Range, Refrigerator, Washer
Exterior
Parking Features Detached
Garage Spaces 2.0
Pool Above Ground, Heated
Building
Story One and One Half
Foundation 800
Sewer Mound Septic
Water Drilled
Level or Stories One and One Half
Structure Type Log
New Construction false
Schools
School District Chetek-Weyerhaeuser Area
Read Less Info
Want to know what your home might be worth? Contact us for a FREE valuation!

Our team is ready to help you sell your home for the highest possible price ASAP
GET MORE INFORMATION




